Details
-
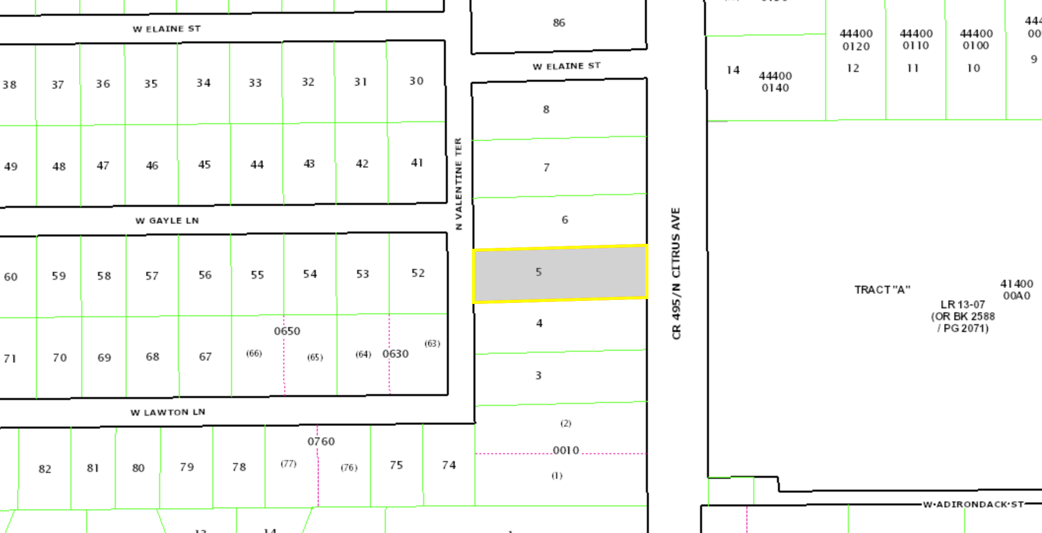
Parcel ID17E17S220210 0050
-
CountyCrystal River
-
Ancres0.62
-
Price$56,000
-
DownPayment$2,000
-
Longtitude-82.56969
-
Latitude28.99050
-
Loan term25 Years
-
Monthly payment$416.78
-
Interest rate8%
-
StateFL
Add a review